
Dónde se producen atascos en el hogar y como afrontar el problema
Dónde se producen atascos en el hogar. En nuestra vivienda existen numerosos componentes que pueden sufrir obstrucciones, los cuales precisan de un profesional para ser

Dónde se producen atascos en el hogar. En nuestra vivienda existen numerosos componentes que pueden sufrir obstrucciones, los cuales precisan de un profesional para ser

Acabar con las plagas de cucarachas. Cuando en nuestro hogar tenemos que eliminar una plaga de cucarachas, sabemos que va a ser un trabajo arduo

Impacto cambio climático en plagas. La Tierra está cambiando como consecuencia de uno de los problemas más graves a los que el ser humano tiene

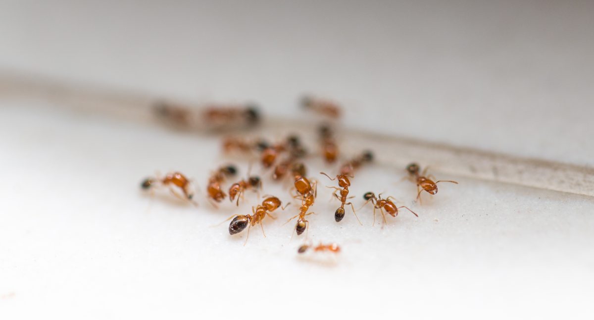
Eliminar hormigas de casa. Las hormigas, esos pequeños insectos que parecen tan inofensivos, pueden llegar a transformarse en una de las plagas más desagradables y,

Tipos de plagas de cucarachas. En Conlima sabemos que os hemos hablado en multitud de ocasiones sobre cómo actuar frente a una plaga de cucarachas

Empresas de desinfección y desatascos con certificado medioambiental. El cuidado del medio ambiente es uno de los mayores compromisos que debemos tener todas las personas,
Cómo eliminar plagas de mosquitos. Anteriormente hemos hablado de las plagas de ratones y de cucarachas, pero hay otro animal que puede ser igual o
Eliminar plagas de ratones. Uno de los animales que pueden causar plagas en los edificios son los ratones. Cada vez son más comunes en los
Empresas desatascadoras de calidad. Cuando necesitamos desatascar la red de alcantarillado de una comunidad de vecinos, tenemos que elegir entre distintos negocios del sector. Los
Obstrucción de tuberías por lluvia. Una gran mayoría de veces, cuando pensamos en los atascos que se producen en el hogar se nos vienen a
Plagas habituales de primavera. Cuando llega la primavera, las temperaturas aumentan considerablemente y las horas de luz son mayores. Entonces, numerosos insectos proliferan para buscar
Hemos hablado de distintos elementos de tu hogar que pueden sufrir atascos, pero no hay ninguno más desagradable que el váter: los residuos que se